Apps
A
A
A
繁
简
Eng
選單
新聞主頁
即時新聞
本地
大中華
國際
財經
體育
視像新聞
新聞專題
新聞專題
新聞節目
新聞節目
新聞節目
新聞圖片
新聞簡報
普通話新聞
新聞重溫
報料快線
錯誤
新聞重溫
視像新聞直播
Search
2025
2026
1
2
3
4
5
6
7
8
9
10
11
12
1
2
3
4
5
6
7
8
9
10
11
12
13
14
15
16
17
18
19
20
21
22
23
24
25
26
27
28
即時新聞
本地
大中華
國際
財經
體育
新聞簡報
普通話新聞
新聞圖片
視像新聞
可重溫過去12個月的新聞
主頁
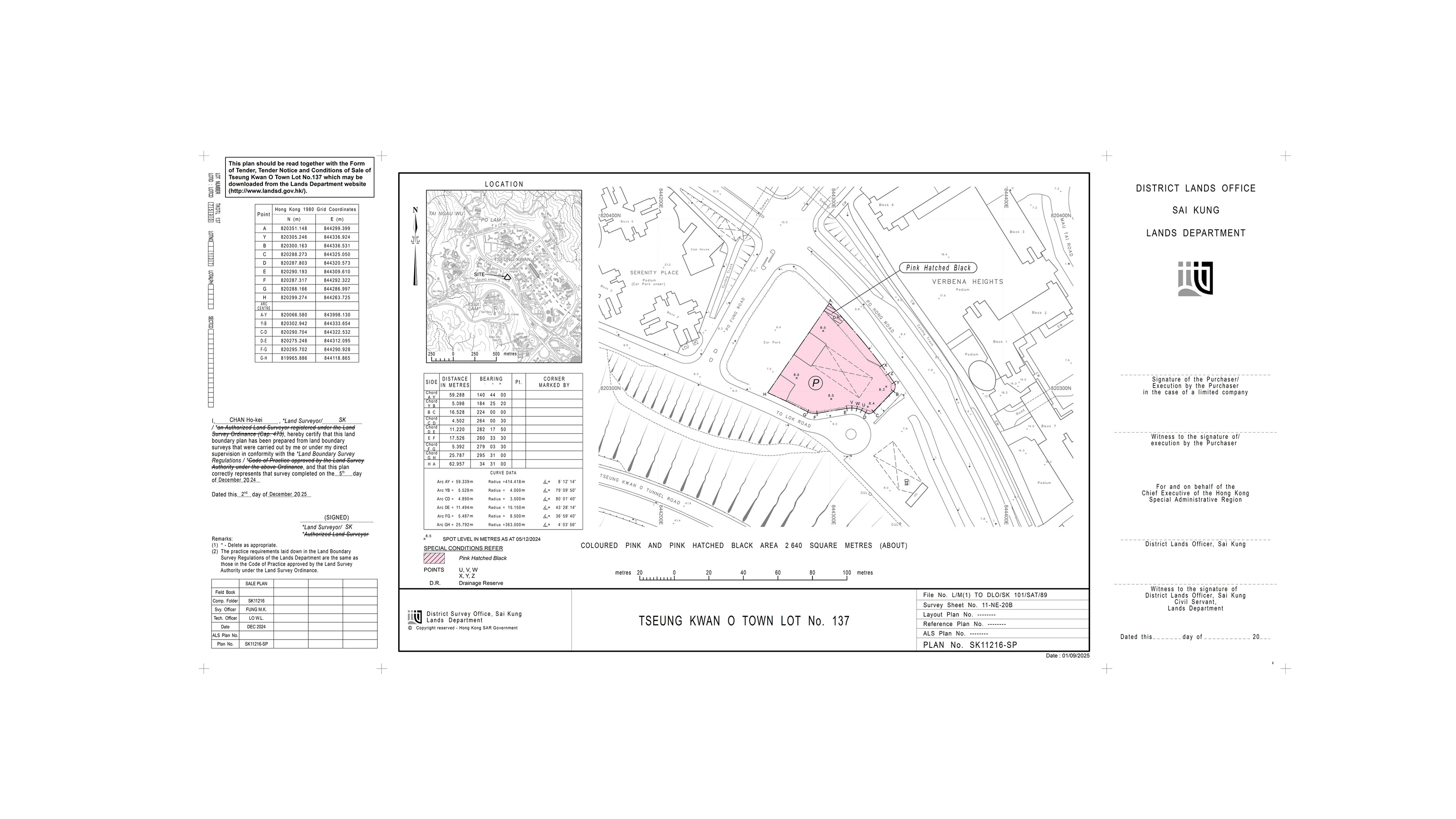
政府招標出售將軍澳用地作為電動車高速充電站
2026-02-06 HKT 11:29
分享工具
政府表示,用地面積2640平方米,指定作電動車高速充電站用途。(地政總署提供)
政府招標出售一幅位於將軍澳寶康路100號的用地,作為電動車高速充電站用途,今年4月17日截標。
政府說,用地面積2640平方米,指定作電動車高速充電站用途。環境局表示,為配合電動車持續增長帶來的充電需求,政府致力擴展高質量的高速充電網絡,供不同類型的電動車充電,並已公開招標出售4幅分別位於九龍灣、火炭、大埔及青衣的油站用地作電動車高速充電站用途。
今次出售的用地上可用作零售用途的面積較傳統油站更大,可供營運商靈活使用以配合電動車司機的需要。
政府招標出售將軍澳用地作為電動車高速充電站
全部
本地
大中華
國際
財經
體育